Informace

Pozemek

Část rozsáhlého souboru pozemků s platným stavebním povolením na výstavbu unikátních viladomů se rozkládá v panenské přírodě chodských lesů, v obci Pleš, necelé 2 hodiny jízdy z Prahy. Moderní dřevostavby dle návrhu renomovaného architektonického studia nabídnou klidné komfortní bydlení s respektem k okolní krajině CHKO Český les.

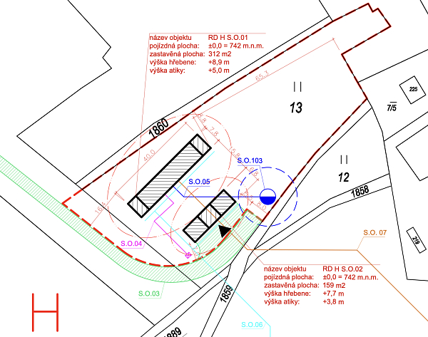
Mírně svažitý pozemek o celkové výměře 5 648 m2 se nachází na jihovýchodní stráni obklopené lesy a loukami, jeho severozápadní hranici lemuje asfaltová komunikace spojující Pleš s německou obcí Friedrichshäng. Projekt viladomu s  celkovou zastavěnou plochou 471 m2 je ve fázi platného stavebního povolení. Domy budou díky použitým materiálům a moderním technologiím energeticky efektivní a tedy šetrné k přírodě a jejich uspořádání poskytne dostatečné soukromí i výhledy do okolní přírody. Zdařile rozvržené dispozice a velká okna zajistí maximální splynutí se zahradou, která bude u každého domu soukromá.

Malá příhraniční obec Pleš nadchne tichou a poklidnou atmosférou a nádhernou přírodou turisty dosud neobjeveného Českého lesa. Vesnicí prochází turistická cesta a cyklostezka, zajímavé cíle představují vrchol Velký zvon, pietně upravený plešský hřbitov či pozůstatky kostela sv. Jana Křtitele. Plnou občanskou vybavenost nabízí nedaleké městečko Bělá nad Radbuzou. Místo je vzdálené 2 hodiny jízdy z Prahy a 1 hodinu z Plzně.

Celková plocha 5 648 m2.

Půdorys

  • Půdorys 1
  • Půdorys 2
  • Půdorys 3
  • Půdorys 4
  • Půdorys 5
  • Půdorys 6
  • Půdorys 7

Přehledová tabulka

  • Referenční číslo
    110630
  • Prodejní cena
    Cena na vyžádání
  • Celková plocha
    5 648 m²
  • Typ pozemku
    Bydlení

Lokalita

Okolí nemovitosti

Kontaktujte nás

nepovinné
nepovinné

Podívejte se také na další pozemky v lokalitě

Veškeré zveřejněné údaje obsažené v tomto inzerátu mají pouze informativní charakter a nejsou nabídkou ve smyslu § 1731 nebo § 1732 občanského zákoníku, ani se nejedná o veřejný příslib dle § 1733 občanského zákoníku. Z této nabídky tak nikomu nevzniká nárok na uzavření smlouvy. Společnost SVOBODA & WILLIAMS s.r.o. zprostředkovává údaje (informace) nabyté v dobré víře od vlastníka nemovité věci a z tohoto důvodu nenese odpovědnost ze jejich úplnost, správnost a přesnost. Současně není oprávněna uzavírat jménem vlastníka nemovité věci jakékoliv smlouvy spojené s prodejem nemovitosti.

Nejčerstvější nabídky do Vašeho e-mailu

Lokalita
Parametry
Velikost
Min.
Max.
Cenové rozpětí
Cena min.
Cena max.
Cenové rozpětí
Cena min.
Cena max.